#EEUU | Huracán "Laura": esperan "inundaciones catastróficas"
https://www.lapampadiaxdia.com.ar/2020/08/eeuu-huracan-laura-esperan-inundaciones-catastroficas.html
| = Foto: WEB = |
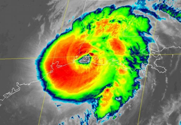
El huracán "Laura" tocó tierra este jueves en la costa de Louisiana con vientos máximos y sostenidos de hasta 240 kilómetros por hora.
PUBLICIDAD
🇺🇸 | AHORA - HURACÁN LAURA: Lake Charles: pic.twitter.com/78JdS67ulL— Alerta News 24 (@AlertaNews24) August 27, 2020
Según informó el Centro Nacional de Huracanes (NHC) de Estados Unidos, a la 1 de la mañana de Louisiana (6 GMT), el ojo de Laura tocó tierra cerca de la localidad de Cameron, a 45 kilómetros al sur suroeste de Lake Charles, y avanzaba en dirección norte a una velocidad de 24 kilómetros por hora.
🇺🇸 | HURACÁN LAURA: Lake Charles: https://t.co/Sf3TI7B9sk— Alerta News 24 (@AlertaNews24) August 27, 2020
No obstante, los meteorólogos pronostican un “rápido debilitamiento” de la tormenta luego de que en su reporte de las 9 GMT el fenómeno bajara a categoría 3.
PUBLICIDAD
Sin embargo, advierten que la marejada ciclónica es “Insobrevivible” y se mantendría por varios días tierra adentro. Además, esperan “inundaciones catastróficas”.
Views of Hurricane Laura taken from @Space_Station today. Stay safe everyone. pic.twitter.com/KwVvRLA15m— Chris Cassidy (@Astro_SEAL) August 26, 2020
PUBLICIDAD
















